
Precise Depth Measurement & Seabed Mapping
Ollerhead & Associates provides highly accurate hydrographic surveys throughout the Northwest Territories and Nunavut. Our extensive experience and advanced technology allow us to conduct and manage large-scale projects across vast geographical areas.
We use advanced sonar systems, including single- and dual-frequency single-beam echo sounders, multibeam echo sounders, side-scan sonar, and sub-bottom profilers, to provide precise bathymetric data for various water environments, such as rivers and coastlines. Our surveys deliver both raw and processed data, ensuring complete flexibility for your project’s needs.
Our Hydrographic Surveying Capabilities Include:
Single Beam Bathymetric Surveys
Single-beam surveys provide an efficient and cost-effective solution for measuring water depth with high accuracy. We use dual-frequency echo sounders for data acquisition, along with industry-leading software to deliver comprehensive, accurate final products.

Advantages:
- Quick setup and data collection
- Fast product turnaround times
- Cost-effective
- Dual-frequency technology enhances accuracy and redundancy
Applications:
- Bathymetric Mapping
- Hard and Soft Bottom Detection
- Cross-Section Plotting
- Tailing Pond Containment Reports
- Navigational Chart Production
Multibeam Bathymetric Surveys
Multibeam surveys provide a richer, more detailed view of underwater topography. By using multibeam echo sounders, we offer 100% bottom coverage, making it ideal for precise infrastructure planning and analysis.

Advantages:
- Full bottom coverage for comprehensive data collection
- Ability to survey a wide swath
- Detailed data allows for accurate subsea mapping

Applications:
- Underwater Pipe Location
- Bridge Buttress Mapping & Analysis
- Detailed Floor Mapping – Ice Scouring
- High-Resolution Wharf & Marina Mapping
- Pre-Dredging, Post-Dredging Volume Surveys & Cross-Sections
Side-Scan Sonar
Side-scan sonar provides a highly detailed image of the seafloor. This technology is ideal for identifying and mapping underwater features such as wrecks, pipelines, and other structures.
Sub-Bottom Profiling

Sub-bottom profiling allows us to visualize the sediment layers beneath the seafloor, providing valuable insight into subsurface conditions. This data is essential for site assessments in offshore construction and environmental surveys for dredging and mining projects.


Why Choose Ollerhead & Associates?
Our team is committed to delivering the highest quality hydrographic surveys, ensuring thorough and efficient data management from initial data collection to final delivery. We have the expertise and tools to meet your specific requirements.
BATHYMETRIC Surveys
Precise Depth Measurement & Seabed Mapping
Ollerhead & Associates provides highly accurate hydrographic surveys throughout the Northwest Territories and Nunavut. Our extensive experience and advanced technology allow us to conduct and manage large-scale projects across vast geographical areas.
We use advance sonar systems, including single and dual-frequency single-beam echo sounders, multibeam echo sounders, side-scan sonar, and sub-bottom profilers, to provide precise bathymetric data for various water environments, such as rivers and coastlines. Our surveys deliver both raw and processed data, ensuring complete flexibility for your needs.



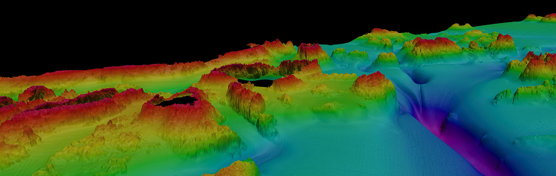
ARROW: graphic symbol showing map orientation, indicating the north direction
All brown lines are Minor & all blue lines are Major Contours
All brown lines are Minor & all blue lines are Major Contours
DEPTH BANDING: Red color indicating 0 to 1 meter water deepness
DEPTH BANDING: Orange color indicating 1 to 2 meters water deepness
DEPTH BANDING: Yellow color indicating 2 to 3 meters water deepness
DEPTH BANDING: Green color indicating 3 to 4 meters water deepness
DEPTH BANDING: Cyan color indicating 4 to 5 meters water deepness
DEPTH BANDING: Green color indicating 3 to 4 meters water deepness
- Underwater Pipe Location
- Bride Buttress Mapping Analysis
- Detailed Floor Mapping – Ice Scouring
- High Resolution Wharf & Marina Mapping
- Pre-Dredging, Post-Dredging Volume Surveys & Cross-Sections

